| | |||||||
| online | |||||||
| NEWS | |||||||
| Here's how to apply for Nintendo's mystery Switch Online playtest - The Verge If you want to apply for the "Nintendo Switch Online: Playtest Program," here's what you need to know before applications open on October 10th at ...
| |||||||
| Nintendo is taking applications to join a mysterious Switch Online playtest - The Verge Nintendo will allow up to 10000 participants to try a new feature for the Nintendo Switch Online service, with applications available starting ...
| |||||||
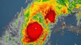
ANF Meteorologist debunks online conspiracy theories on Hurricane Milton, Helene We barely understand them enough to predict them, let alone create them." SUBSCRIBE and turn on notifications so you don't miss any videos: ...
| |||||||
| Some Influencers Aren't Leaving Florida Despite Hurricane Milton—Sparking Online Criticism Influencers on social media have stirred anger online for not canceling their Walt Disney World vacations or refusing to leave their Florida homes ...
| |||||||
| Woman wins big with Kentucky Lottery online game - WKYT ... Online Instant Play ...
| |||||||
All St. Petersburg sewer treatment plants back online after Hurricane Milton | FOX 13 Tampa Bay All St. Petersburg sewer treatment plants back online after Hurricane Milton. By FOX 13 News Staff. Published October 10, 2024 9:17am EDT. Hurricane ...
| |||||||
| Nintendo Opens Applications to Join Switch Online Playtest for a Mysterious 'New Feature' ... Online: Playtest Program. Hopeful applicants will need to have an active Nintendo Switch Online + Expansion Pack membership and, in a bit of a ...
| |||||||
| US and UK announce online child safety partnership - BBC UK Technology Secretary Peter Kyle said the agreement would turn the two countries' "historic partnership" towards "delivering a safer online world ...
| |||||||
| Nintendo Switch Online new feature closed playtest announced - Gematsu Nintendo will host a playtest for a new feature coming to the Nintendo Switch Online service for Switch, the company announced.
| |||||||
| Online shopping returns to growth in Europe amid fierce competition - Reuters Recovering consumer confidence has boosted online shopping in Europe this year, industry group Ecommerce Europe said on Wednesday, while low-cost ...
| |||||||
| Nintendo Sound Clock Alarmo™ - Nintendo Official Site For a limited time*, paid Nintendo Switch Online members in the United States and Canada can purchase Alarmo online via the My Nintendo Store ...
| |||||||
| Online hate against South Asian Americans rises steadily, report says - Reuters Online hate against Americans of South Asian ancestry has risen steadily in 2023 and 2024 with the rise of politicians from that community to ...
| |||||||
| FACT FOCUS: Online posts make unfounded claims about a helicopter delivering aid in ... The North Carolina National Guard said in a statement issued on Tuesday that the video shows one of its helicopters attempting to make a generator ...
| |||||||
| Report: Online program manager growth slows to a standstill - Inside Higher Ed A new report shows institutions are turning away from beleaguered online program managers en masse. Is it the end of the road for a once-thriving ...
| |||||||
| Yelp Turns 20: Online Reviews Continue To Confuse Shoppers - Honolulu Civil Beat Even if all fake reviews were filtered out, do product reviews still help you make better decisions?
| |||||||
| Amazon makes shopping for groceries online less confusing - TechCrunch Amazon aims to enhance its online grocery delivery service by allowing Prime members to purchase fresh groceries alongside other Amazon.com products ...
| |||||||
| Jennifer Lopez Gets Candid on Divorce, Scrapped Tour and Online Backlash Jennifer Lopez sat for her first in-depth interview since splitting with Ben Affleck by joining Nikki Glaser for a conversation.
| |||||||
| Financial regulator calls for investigation into Nordea's online banking issues | Yle News The Finnish Financial Supervisory Authority (FSA) has called for an investigation into the persistent issues affecting Nordea's online banking ...
| |||||||
| Celebs in crosshairs over online 'scam' - Bangkok Post Police are stepping up their investigation into a suspected online business scam that involves recruiting celebrities to serve as product ...
| |||||||
| Candidates offer differing visions on height limits, rent control - Palo Alto Online At a Tuesday forum hosted by the Weekly, candidates explained their positions and responded to pointed questions. Avatar photo ...
| |||||||
| X back online in Brazil after a 39-day blockade - ADF International X back online in Brazil after a 39-day blockade · Justice Alexandre De Moraes lifts ban on social media platform following conclusion of national ...
| |||||||
| As Online Shopping Increases, So Do Concerns About Delivery and Warehouse Workers' Safety Next-day delivery. Overnight shipping. Online sales in the U.S. have nearly doubled in the last few years. So has the number of employees ...
| |||||||
| False claims about Hurricane Milton's origins spread online - BBC False claims suggesting that Hurricane Milton was "engineered" and that the weather in Florida is being "manipulated" have been spreading on ...
| |||||||
| Google Joins Forces with GASA and DNS RF to Tackle Online Scams at Scale Google on Wednesday announced a new partnership with the Global Anti-Scam Alliance (GASA) and DNS Research Federation (DNS RF) to combat online ...
| |||||||
| Glia Unveils Unified Interactions Index Online Calculator - Finovate Customer interaction technology company Glia launched its Unified Interactions Index Online Calculator this week. The new offering is based on the ...
| |||||||
| El Camino Needs to Make Online Counseling Simpler I enrolled at El Camino at the worst possible time – the tail end of 2020. With the pandemic in full effect, all classes were strictly online and ... Electives and Online Courses | Maricopa Institute of Technology - Maricopa Institute of Technology |
| |||||||
| 70% of Shoppers Say Payment Options Influence Where They Shop Online | PYMNTS.com This preference appears to be a driver of cart abandonment rates across online platforms. Online marketplaces seem to have a competitive edge in this ...
| |||||||
| 3-2-1 liftoff! 'Rocket Science for Everyone' soars at Yale Online - YaleNews Astrophysicist Marla Geha's new Yale Online course about rocket science is, ahem, skyrocketing in popularity.
| |||||||
| St. Bonaventure Basketball Returns To Terrestrial Radio With Expanded Bonnies Online ... Broadcasts of St. Bonaventure basketball will be available online and over the air during the 2024-25 season as St. Bonaventure Athletics ...
| |||||||
| Online education program ranked among best in New York - SUNY Cortland SUNY Cortland has one of the best online teacher education programs in New York state and the best among similar SUNY institutions, according to ... ENL Online Modules + Zoom Calls - Alliance for Catholic Education - Alliance for Catholic Education - University of Notre Dame
| |||||||
| WEB | |||||||
| National Online Workshop on Mental Health & Cyber Security - YouTube Department of School Education and Literacy, Ministry of Education is organizing an Online workshop on Mental Health & Cyber Security at 3:00 PM ...
| |||||||
| New GTA Online Ludendorff Cemetery Survival - YouTube ... Online, return to North Yankton and confront a nightmarish array of foes — including ambling corpses, colossal juggernauts, and possessed animals ...
| |||||||
| Online migration for Valkey or Redis OSS - Amazon ElastiCache To migrate your data from open-source Valkey or Redis OSS running on Amazon EC2 to Amazon ElastiCache requires an existing or newly created Amazon ...
| |||||||
| Messi Collection - Sites-hardrock-Site | Online Rock Shop Messi Sale - 20% OFF! Messi Soccer 20oz Pilsner Glass · Quick View for Messi ...
| |||||||
| TOGETHXR | Want to know our favorite things? From jerseys to online shopping, here ... - Instagram Authentic jersey. Online shop or shop in team store? Always online shopping for every little thing. Dress sports merch up or dress it down? Dress it ...
| |||||||
| Get DC Universe Online for Xbox One DC Universe™ Online is now on Xbox One! Join thousands of other players in this Free-to-Play, massive online action game set in the popular DC ...
| |||||||
| Unemployment Services - Kentucky Career Center Unemployment Insurance. . For more information about & to file for Unemployment Insurance, click here. Apply Online ... Request your bi-weekly ...
| |||||||
| Graduate, Continuing & Online Education Admissions - Simpson College Online & Graduate Studies Admissions. Whether you want to advance your career or finish the degree you started, we're so glad you're considering ...
| |||||||
| Domestic Relations Online Dockets | Lucas County, OH - Official Website The public record information available here reflects the docket entries and journals required by Ohio law to be kept by the Lucas County Clerk of ...
| |||||||
| Earn Money Online in Pakistan Without Investment: Your Complete Guide - Spocket Discover effective ways to earn money online in Pakistan without any upfront investment. Explore various opportunities to achieve financial ...
| |||||||
| UP Anganwadi Bharti 2024 – Apply Online Form, Notification Download With 23,753 Anganwadi Worker Vacany posts open across different districts, the online application process has begun. In this guide, I'll walk you ...
| |||||||
| Online Water Payments - Town of Tazewell **There is a fee to pay online or by phone, charged by the service provider, not the Town of Tazewell. Make a Water Payment Online. Attachments. Make ...
| |||||||
| Sunny Narang | Lusine was able to convert this online seller lead into a million dollar listing ... Was an online lead. Tell us how you're able to convert them. So, I reached out to this client and I asked him if he has done anything to the house ...
| |||||||
| Rockman Coffee + Bakeshop - Order Online Order online from Rockman Coffee + Bakeshop, including Classics, Focaccia Sammie, Bagel. Get the best prices and service by ordering direct!
| |||||||
| Online Resources - Marion, MA Access online resources including links to the FBI website, identity theft commission, and the Massachusetts court system.
| |||||||
| Online Order - MIKADO Online Order. Hey there, New Yorkers! We've got some exciting news to share. New Mikado Sushi is now offering the convenience of online ordering with ...
| |||||||
| You have received this email because you have subscribed to Google Alerts. |
Receive this alert as RSS feed |
| Send Feedback |
No comments:
Post a Comment